Tereny mieszkaniowe
Informacja
o terenie niezabudowanym, przygotowanym do zbycia na cele mieszkaniowe.
1. Położenie
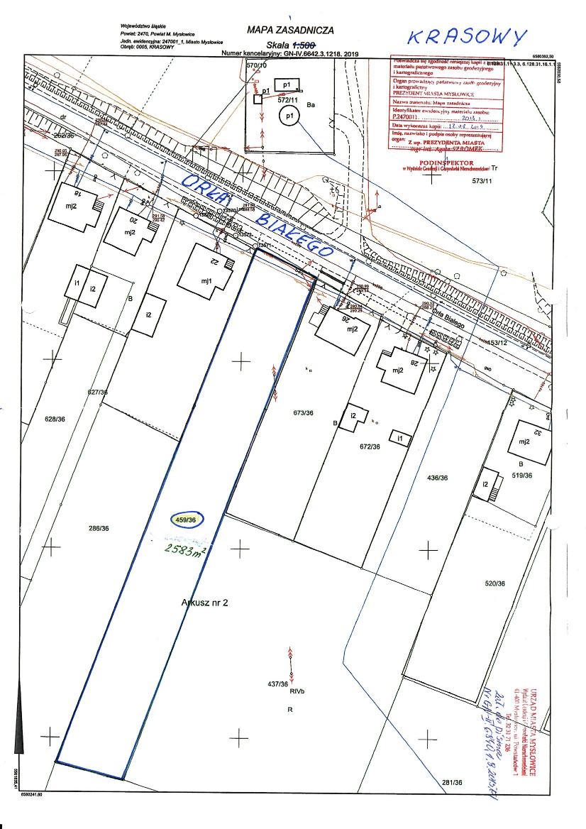
Nieruchomość niezabudowana, położona w Mysłowicach – Krasowach przy ul. Orła Białego pomiędzy Nr 22, a Nr 26.
Adres: 41 - 409 Mysłowice, ul. Orła Białego
W skład nieruchomości wchodzi działka nr 459/36 o pow. 2583 m2, położona na arkuszu mapy 2 obrębu 0005 Krasowy, zapisana w księdze wieczystej nr KA1L/00025267/3 Sądu Rejonowego w Mysłowicach, przeznaczona na cele mieszkaniowe.
2. Charakterystyka działki
Właścicielem nieruchomości jest Gmina Mysłowice.
Łączna powierzchnia nieruchomości wynosi 2583 m 2.
Przeznaczenie w miejscowym planie zagospodarowania przestrzennego:
Brak miejscowego planu zagospodarowania przestrzennego, a w obowiązującym Studium uwarunkowań i kierunków zagospodarowania przestrzennego miasta Mysłowice, uchwalonym przez Radę Miasta Mysłowice, uchwałą Nr L/761/21 z dnia 21 grudnia 2021 r., przedmiotowa działka położona jest w strefach ozn. symbolem:
MN – obszary zabudowy mieszkaniowej jednorodzinnej (północna część działki) oraz
ZN – obszary zieleni nieurządzonej, rekreacyjnej (południowa część działki)
Zagospodarowanie nieruchomości nastąpi na podstawie szczegółowych warunków, które zostaną określone w decyzji o warunkach zabudowy, wydanej na wniosek nabywcy.
Dojazd komunikacją indywidualną: ul. Orła Białego.
Dojazd komunikacją zbiorową: autobusami linii KZK GOP Nr 44, Nr M101.
Uzbrojenie - rejon nieruchomości uzbrojony jest w sieci: wodociągową, gazową, energetyczną, teletechniczną i kanalizacyjną.
3. Sposób zagospodarowania
Charakterystyka: Nieruchomość niezabudowana, położona w Mysłowicach – Krasowach przy ul. Orła Białego (pomiędzy Nr 22, a Nr 26), przygotowana do sprzedaży na cele zgodne z zapisami ww. Studium. Zbywana nieruchomość posiada kształt zbliżony do prostokąta – działka długa, a wąska (ok. 18 m szerokości), porośnięta jest samosiejkami drzew i krzewów. W północno – wschodniej części ww. działki (w kierunku północ - południe) przebiega czynna napowietrzna linia energetyczna 20 kV (która utrudnia zagospodarowanie działki pod zabudowę), a we wschodniej oraz północnej granicy działki stoją dwa słupy tej sieci. Ponadto w północnej części działki stoi słup teletechniczny oraz wzdłuż ul. Orła Białego, przez działkę, przebiegają podziemne sieci uzbrojenia terenu: energetyczna, wodociągowa, teletechniczna, a w granicy działki przebiega sieć gazowa. Nin. grunt może być wykorzystany pod zabudowę z zastrzeżeniem, że projektowane obiekty budowlane nie mogą naruszać istniejącego uzbrojenia terenu i przy ich lokalizacji zostaną zachowane odpowiednie odległości od sieci. W przypadku, gdyby jednak projektowana zabudowa kolidowała z przebiegającymi sieciami, nabywca dokona ich przełożenia na własny koszt, po uzgodnieniu z gestorami sieci. Nabywca zobowiązany będzie zapewnić właścicielom sieci dostęp do sieci i urządzeń, celem przeprowadzenia konserwacji lub usunięcia awarii. Obsługa komunikacyjna zbywanej nieruchomości będzie się odbywać z drogi publicznej ul. Orła Białego. Lokalizację zjazdu nabywca uzgodni z zarządcą drogi w odrębnym postępowaniu.
Nabywca zobowiązany będzie we własnym zakresie i na własny koszt w razie potrzeby: Wykonać badanie geotechniczne gruntu; Dokonać wycinki zieleni, po wcześniejszym uzyskaniu decyzji zezwalającej na usunięcie drzew i krzewów kolidujących z planowaną inwestycją (ewentualne opłaty z tym związane ponosi nabywca); Uporządkować teren, a w razie wystąpienia konieczności odwodnienia działki wykonać je na własny koszt; Uzyskać aktualne uzgodnienia branżowe przebiegu sieci i urządzeń uzbrojenia terenu; Zrealizować niezbędne dla zamierzonej inwestycji uzbrojenie techniczne i uzyskać we własnym zakresie zapewnienia dostawy mediów oraz odbioru ścieków i wód opadowych.
Tryb zbycia.
Przetarg ustny nieograniczony na sprzedaż nieruchomości.
W przypadku zainteresowania nabyciem przedmiotowej nieruchomości szczegółowych informacji udziela Wydział Gospodarki Nieruchomościami Urzędu Miasta w Mysłowicach przy ul. Powstańców 1 tel. 32 31 71 236 (pok.311). Szczegółowych informacji o możliwości zagospodarowania nieruchomości można uzyskać w Wydziale Architektury, Planowania i Strategii Urzędu Miasta w Mysłowicach, tel. 32 31 71 324 (w godz. pracy urzędu).







