Archiwum ofert nieruchomości
Status: Archiwalne
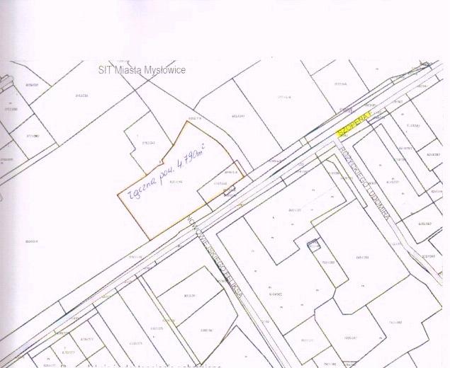
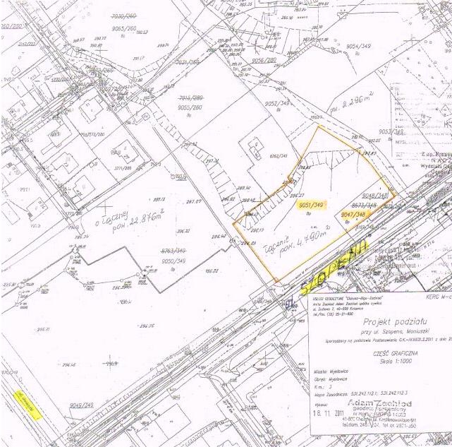
Lokalizacja: Mysłowice, ul. Szopena
Powierzchnia: 4.790 m2
Lokalizacja: Mysłowice, ul. Szopena
Powierzchnia: 4.790 m2
Informacja o terenie niezabudowanym, przygotowanym do zbycia pod zabudowę mieszkaniową wielorodzinną i usługi rangi ogólnomiejskiej, w tym zabudowę usługową związaną z ochroną zdrowia, edukacją.
-
Położenie
- Nieruchomość niezabudowana, położona w Mysłowicach przy ul. Szopena.
- Adres: 41 - 400 Mysłowice, ul. Szopena.
- W skład nieruchomości wchodzi działka nr 9047/348 o pow. 543 m2 zapisana w księdze wieczystej KA1L/00005350/6 oraz działka nr 9051/349 o pow. 4.247 m2 zapisana w księdze wieczystej KA1L/00021357/3, o łącznej pow. 4.790 m2. Działki położone są na karcie mapy 3 obrębu Mysłowice.
-
Charakterystyka działki
- Właścicielem nieruchomości jest Gmina Miasto Mysłowice
- Łączna powierzchnia nieruchomości wynosi 4.790 m2
-
Przeznaczenie w miejscowym planie zagospodarowania przestrzennego.
Brak miejscowego planu zagospodarowania przestrzennego, a w Studium Uwarunkowań i Kierunków Zagospodarowania Przestrzennego Miasta Mysłowice uchwalonym przez Radę Miasta Mysłowice uchwałą Nr XXX/656/08 z dnia 30 października 2008r. nin. nieruchomość położona jest w strefie ozn. MWU – tereny zabudowy mieszanej: mieszkaniowej wielorodzinnej i usług rangi ogólnomiejskiej oraz w części w strefie ozn. ZU – tereny zieleni urządzonej.
Nieruchomość może być przeznaczona na cele zgodne z zapisami w/w Studium tj. pod zabudowę mieszkaniową wielorodzinną i usługi rangi ogólnomiejskiej, w tym zabudowę usługową związaną z ochroną zdrowia, edukacją wraz z towarzyszącą infrastrukturą techniczną i zielenią urządzoną. Na chwilę obecną istnieje możliwość wydania decyzji administracyjnej w oparciu o Ustawę o Planowaniu i Zagospodarowaniu Przestrzennym (Dz.U. z 2003r. Nr 80 poz.717 z późn. zm.) przy równoczesnym spełnieniu warunków w niej zawartych. Wstępnie określa się, że istniejące otoczenie terenu wskazuje na przewagę (dominację) funkcji „mieszkaniowej” nad funkcją „usługową”. Istniejące w sąsiedztwie funkcje „usługowe” są to formy sklepów osiedlowych obsługujących potrzeby w wymiarze podstawowym. Na zbywanym terenie istnieje możliwość lokowania obiektów do IV - V kondygnacji nadziemnych: o wyłącznej funkcji mieszkaniowej lub obiektów mieszkalnych z funkcją usługową, handlową tylko i wyłącznie w parterze o powierzchni sprzedaży do 400 m2. Istnieje również możliwość lokowania obiektów o wyłącznej funkcji usługowej: ochrony zdrowia (np. przychodnie, gabinety), edukacyjnej (np. szkoły, przedszkola, żłobki) - o wysokości II kondygnacji; przy zachowaniu proporcjonalności terenów zabudowanych, zainwestowanych do powierzchni terenów zielonych. Obowiązuje całkowity zakaz lokowania jakichkolwiek obiektów o funkcji handlowej o powierzchni sprzedaży powyżej pow. 400 m2. Udział terenów zielonych urządzonych w granicach przedmiotowego obszaru winien być wprost proporcjonalny do powierzchni terenu przeznaczonego pod zabudowę i zainwestowanie.
Dodatkowo wskazuje się, że w zależności od obszaru podlegającego przekształceniu, zajętego obiektami budowlanymi w wyniku realizacji inwestycji, może wystąpić konieczność spełnienia warunku z § 2 pkt. 53 lit. b Rozp. Rady Ministrów z dnia 9 listopada 2010r. w sprawie przedsięwzięć mogących znacząco oddziaływać na środowisko.
Zagospodarowanie terenu nastąpi na podstawie szczegółowych warunków, które zostaną określone na wniosek nabywcy w decyzji o warunkach zabudowy. - Dojazd komunikacją indywidualną - dojazd ulicą Szopena od ulic: Janowskiej, Katowickiej, Armii Krajowej, Moniuszki.
- Dojazd komunikacją zbiorową: autobusami linii KZK GOP Nr 44, Nr 223, Nr 292.
- Uzbrojenie-w rejonie nieruchomości znajduje się pełne uzbrojenie terenu (w ul. Szopena).
-
Sposób zagospodarowania
Charakterystyka: Na zbywanym gruncie występują zróżnicowane wysokości. W części północnej znajduje się skarpa porośnięta grupą drzew rodzimych, w dobrym stanie zdrowotnym. Ta część nieruchomości planowana jest do zagospodarowania jako tereny zieleni. W południowo – zachodnim rogu nieruchomości przy ul. Szopena, minimalnie przebiega podziemny kabel teletechniczny, który nie utrudnia zagospodarowania. W/w grunty mogą być wykorzystane pod zabudowę z zastrzeżeniem, że projektowane obiekty budowlane nie mogą naruszać istniejącego uzbrojenia podziemnego terenu i przy ich lokalizacji zostaną zachowane odpowiednie odległości od sieci. W przypadku, gdyby jednak projektowana zabudowa kolidowała z przebiegającą siecią nabywca dokona jej przełożenia na własny koszt, po uzgodnieniu z gestorem sieci. Nabywca zobowiązany będzie zapewnić właścicielowi sieci dostęp do sieci, celem przeprowadzenia konserwacji lub usunięcia awarii. Obsługa komunikacyjna zbywanej nieruchomości może się odbywać od ul. Szopena, poprzez istniejący w terenie zjazd znajdujący się na działkach gminnych nr 9052/349 i nr 9048/348 (śladem istniejącej nie urządzonej drogi gruntowej). Lokalizację zjazdu nabywca uzgodni z zarządcą drogi w odrębnym postępowaniu.-
Nabywca zobowiązany będzie we własnym zakresie i na własny koszt:
- W razie konieczności zniwelować i uporządkować teren;
- Wykonać niezbędne dla zamierzonej inwestycji uzbrojenie techniczne i uzyskać we własnym zakresie zapewnienia dostawy mediów oraz odbioru ścieków i wód opadowych;
- W przypadku ewentualnej kolizji planowanej zabudowy z zielenią, wystąpić o stosowne zezwolenie na usunięcie drzew i krzewów (koszty i opłaty związane z wycinką ponosi nabywca);
- Wykonać raport oceny oddziaływania inwestycji na środowisko (w razie wystąpienia takiego obowiązku);
- Przebudować chodnik zlokalizowany wzdłuż istniejącej ulicy w miejscach zjazdów do posesji (w przypadku gdy zajdzie taka konieczność). Przejazdy te winny być wykonane z wykonaniem obniżeń na zjazdach oraz odpowiednią przebudową ich konstrukcji.
- Przy północnej granicy zbywanej nieruchomości (wzdłuż środkowej jej części) znajduje się działka nr 8762/349 o pow. 1.138 m2, stanowiąca własność osób prywatnych. Nabywca nieruchomości obejmującej działki nr: 9051/349 i 9047/348, zobowiązany będzie uwzględnić przepisy w zakresie Prawa Budowlanego odnośnie zachowania odległości od granic i nasłonecznienia zarówno w stosunku do działki nr 8762/349, jak i istniejącego na niej obiektu.
- Nabywca we własnym zakresie i na własny koszt wykona drogę dojazdową do nieruchomości nabytej w przetargu w odrębnym uzgodnieniu z zarządcą drogi i w oparciu o właściwe postępowanie administracyjne.
-
Nabywca zobowiązany będzie we własnym zakresie i na własny koszt:
-
Tryb zbycia.
Przetarg ustny nieograniczony na sprzedaż nieruchomości.
W przypadku zainteresowania nabyciem przedmiotowej działki szczegółowych informacji udziela
Wydział Gospodarki Nieruchomościami i Nadzoru Właścicielskiego
Urzędu Miasta w Mysłowicach
tel. 32 317 12 36
um@myslowice.pl
Zdjęcia:







