Archiwum ofert nieruchomości
Informacja o terenie niezabudowanym, przygotowanym do zbycia pod zabudowę na cele zgodne
z zapisami planu miejscowego.
Położenie
- Nieruchomości niezabudowane, położone w Mysłowicach – Krasowach w rejonie ulic: Franciszka Kościelniaka i PCK (bocznej).
- Adres: 41 - 409 Mysłowice, ul. Franciszka Kościelniaka.
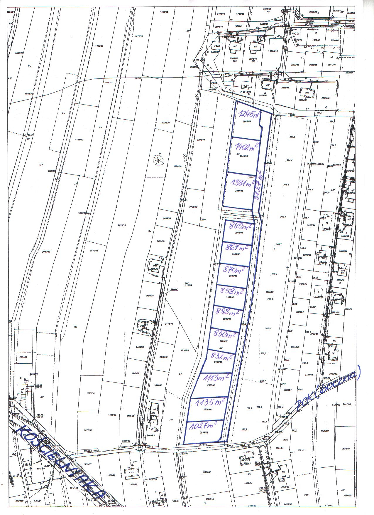
- W skład nieruchomości wchodzą działki, na karcie mapy 1 obrębu Krasowy, zapisane w księdze wieczystej nr KA1L/00024751/6 Sądu Rejonowego w Mysłowicach, przeznaczone pod zabudowę na cele zgodne z zapisami niżej wym. planu miejscowego, oznaczone numerami:
- nr 2933/46 o pow. 1027 m2,
- nr 2934/46 o pow. 1135 m2,
- nr 2935/46 o pow. 1113 m2,
- nr 2936/46 o pow. 832 m2,
- nr 2937/46 o pow. 830 m2,
- nr 2938/46 o pow. 888 m2,
- nr 2939/46 o pow. 858 m2,
- nr 2940/46 o pow. 870 m2,
- nr 2941/46 o pow. 867 m2,
- nr 2942/46 o pow. 880 m2,
- nr 2944/46 o pow. 1381 m2,
- nr 2945/46 o pow. 1402 m2,
- nr 2946/46 o pow. 1245 m2
oraz działka nr 2948/46 o pow. 3127 m2, przeznaczona pod wewnętrzną drogę dojazdową.
Charakterystyka działki
- Właścicielem nieruchomości jest Gmina Mysłowice.
- Łączna powierzchnia nieruchomości wynosi 16455 m2.
- Przeznaczenie w miejscowym planie zagospodarowania przestrzennego:
Zgodnie z uchwalonym przez Radę Miasta Mysłowice uchwałą Nr LXXIX/754/06 z dnia 31 sierpnia 2006 roku, miejscowym planem zagospodarowania przestrzennego „Krasowy Południowe” w Mysłowicach, działki: nr 2933/46, nr 2934/46, nr 2935/46 i część działki nr 2948/46, posiadają przeznaczenie ozn. symbolem MU III - tereny zabudowy jednorodzinnej w obszarze ochrony dolin i cieków układu fizjograficznego z dopuszczeniem funkcji usługowej jako funkcji uzupełniającej. Pozostałe działki wym. powyżej (w poz. od 4 do 13) oraz część działki nr 2948/46, posiadają przeznaczenie ozn. symbolem MU II - tereny zabudowy jednorodzinnej z dopuszczeniem funkcji usługowej jako funkcji uzupełniającej. Zbywane działki znajdują się na obszarze terenu górniczego, w związku z czym wznoszenie trwałych budowli i urządzeń, zgodnie z zapisami planu miejscowego, wymaga uzgodnienia z właściwym organem państwowego nadzoru górniczego. Zagospodarowanie nieruchomości nastąpi na podstawie zapisów w/w planu zagospodarowania przestrzennego.
- Dojazd komunikacją indywidualną: ul. Franciszka Kościelniaka, a następnie wewnętrzną ogólnodostępną drogą gminną (nie urządzoną) – łącznik z ul. PCK, z ul. Ziołową.
- Dojazd komunikacją zbiorową: autobusami linii KZK GOP Nr 223 i Nr 545 do ul. Franciszka Kościelniaka.
- Uzbrojenie - rejon nieruchomości uzbrojony jest w sieci: energetyczną, gazową, wodociągową i kanalizacji sanitarnej.
Sposób zagospodarowania
Charakterystyka: Działki niezabudowane, wyznaczone do sprzedaży pod zabudowę, na cele zgodne z zapisami wyżej wym. miejscowego planu zagospodarowania przestrzennego wraz ze sprzedażą udziału w gruncie, przeznaczonym pod wewnętrzną drogę dojazdową. Zbywane działki posiadają regularny kształt, położone są na terenie podmokłym (przy obfitych opadach deszczu lub roztopach śniegu, na działkach mogą gromadzić się wody opadowe). Nabywcy zobowiązani będą we własnym zakresie oraz na własny koszt dokonać drenażu i odwodnienia nieruchomości. Obsługa komunikacyjna zbywanych działek będzie się odbywać z drogi publicznej ul. Franciszka Kościelniaka, po działkach Gminy Mysłowice: nr 844/52 i nr 2932/46, stanowiących wewnętrzną ogólnodostępną drogę gminną (gruntową), a następnie po działce nr 2948/46, w której Gmina Mysłowice będzie sprzedawać swoje udziały. Przy sprzedaży udziałów w działce nr 2948/46, przeznaczonej pod wewnętrzną drogę dojazdową, na tej działce, zostanie ustanowiona służebność drogowa do sąsiednich działek gminnych: nr 2947/46 o pow. 717 m2 i nr 2943/46 o pow. 2145 m2, wydzielonych pod rów melioracyjny, położonych na karcie mapy 1 obrębu Krasowy, zapisanych dotychczas w księdze wieczystej nr KA1L/00024751/6 Sądu Rejonowego w Mysłowicach. Lokalizację zjazdu z drogi publicznej nabywcy uzgodnią z zarządcą drogi w odrębnym postępowaniu.
Nabywcy zobowiązani będą we własnym zakresie i na własny koszt:
- Wykonać badanie geotechniczne gruntu i dokonać odwodnienia (drenażu) działek;
- W razie potrzeby wyrównać i uporządkować teren oraz w przypadku gdy zajdzie taka konieczność, dokonać wycinki drzew i krzewów kolidujących z planowaną zabudową (koszty i opłaty z tym związane ponoszą nabywcy);
- Wykonać uzgodnienia branżowe przebiegu sieci uzbrojenia terenu oraz zrealizować niezbędne dla zamierzonej inwestycji uzbrojenie techniczne i uzyskać we własnym zakresie zapewnienia dostawy mediów oraz odbioru ścieków, a także wód opadowych;
- Wspólnie wykonać na działce nr 2948/46 dojazd do działek nabytych w przetargu.
Tryb zbycia
Przetarg ustny nieograniczony na sprzedaż poszczególnych działek wraz z udziałem 1/13 cz. w działce nr 2948/46, przeznaczonej pod wewnętrzną drogę dojazdową..
W przypadku zainteresowania nabyciem przedmiotowych nieruchomości szczegółowych informacji udziela Wydział Gospodarki Nieruchomościami Urzędu Miasta w Mysłowicach przy ul. Powstańców 1, tel. 32 31 71 236. Szczegółowych informacji o możliwości zabudowy działek można uzyskać w Wydziale Architektury i Budownictwa Urzędu Miasta w Mysłowicach przy Placu Wolności 2, tel. 32 31 71 324 (w godz. pracy urzędu).
- Mapa (402.5 KB)







