Archiwum ofert nieruchomości
Informacja o terenie niezabudowanym, przygotowanym do zbycia pod zabudowę mieszkaniową
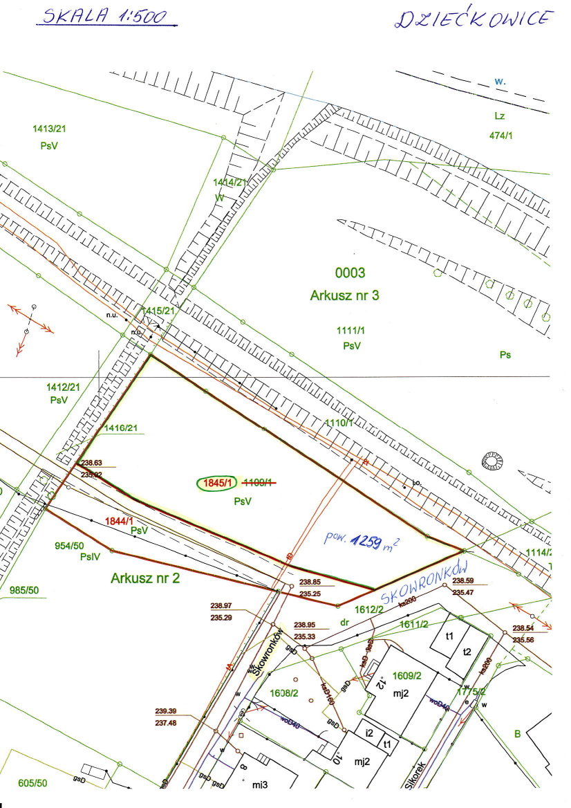
1. Położenie
- Nieruchomość niezabudowana, położona w Mysłowicach – Dziećkowicach przy ul. Skowronków.
- Adres: 41 - 409 Mysłowice, ul. Skowronków.
- W skład nieruchomości wchodzi działka nr 1845/1 o pow. 1259 m2, położona na karcie mapy 3 obrębu Dziećkowice, zapisana w księdze wieczystej nr KA1L/00027121/2 Sądu Rejonowego w Mysłowicach, przeznaczona pod zabudowę na cele zgodne z zapisami miejscowego planu zagospodarowania przestrzennego.
2. Charakterystyka nieruchomości
- Właścicielem nieruchomości jest Gmina Mysłowice.
- Łączna powierzchnia nieruchomości wynosi 1259 m2.
- Przeznaczenie w miejscowym planie zagospodarowania przestrzennego miasta:
W obowiązującym miejscowym planie zagospodarowania przestrzennego miasta Mysłowice dla dzielnicy „Dziećkowice”, uchwalonym przez Radę Miasta Mysłowice uchwałą nr XXIV/259/2004 z dnia 26 lutego 2004 roku, w/w działka posiada przeznaczenie: MU IV - tereny zabudowy mieszkaniowej z dopuszczeniem funkcji usługowej jako funkcji uzupełniającej. Zagospodarowanie nieruchomości nastąpi na podstawie zapisów nin. miejscowego planu zagospodarowania przestrzennego.
- Dojazd komunikacją indywidualną: ul. Długą i ul. Skowronków.
- Dojazd komunikacją zbiorową: autobusami linii KZK GOP Nr 66, 954 do ul. Długiej.
- Uzbrojenie - rejon nieruchomości uzbrojony jest w sieci: wodociągową, gazową, energetyczną, teletechniczną i kanalizacji sanitarnej.
3. Sposób zagospodarowania
Charakterystyka: Nieruchomość niezabudowana, przeznaczona do sprzedaży na cele zgodne z zapisami w/w miejscowego planu zagospodarowania przestrzennego tj. pod zabudowę mieszkaniową z dopuszczeniem funkcji usługowej jako funkcji uzupełniającej. Nin. nieruchomość posiada lekko nieforemny kształt, bez negatywnego wpływu na możliwość jej zagospodarowania. Teren działki porośnięty jest trawą, pojedynczymi samosiejkami drzew i krzewów. Wzdłuż północno zachodniej granicy działki (poza działką) przebiega rów odwadniający. Przez działkę przebiegają napowietrzne linie energetyczne 20kV, dla których strefa ochronna wynosi 6m od osi sieci oraz dwa podziemne przewody teletechniczne. Nin. nieruchomość może być wykorzystana pod zabudowę z zastrzeżeniem, że projektowane obiekty budowlane nie mogą naruszać istniejącego uzbrojenia terenu i przy ich lokalizacji zostaną zachowane odpowiednie odległości od sieci. W przypadku, gdyby jednak projektowana zabudowa kolidowała z przebiegającymi sieciami, nabywca dokona ich przełożenia na własny koszt, po uzgodnieniu z gestorem sieci. Nabywca zobowiązany będzie zapewnić właścicielom sieci dostęp do sieci, celem przeprowadzenia konserwacji lub usunięcia awarii. Obsługa komunikacyjna zbywanej nieruchomości będzie się odbywać bezpośrednio z drogi publicznej ul. Skowronków. Lokalizację zjazdu nabywca uzgodni z zarządcą drogi w odrębnym postępowaniu.
Nabywca zobowiązany będzie we własnym zakresie i na własny koszt w razie potrzeby: Wykonać badanie geotechniczne gruntu; Uzyskać uzgodnienia branżowe przebiegu sieci i urządzeń uzbrojenia terenu; Zrealizować niezbędne dla zamierzonej inwestycji uzbrojenie techniczne i uzyskać we własnym zakresie zapewnienia dostawy mediów oraz odbioru ścieków i wód opadowych; Dokonać wycinki zieleni, po wcześniejszym uzyskaniu decyzji zezwalającej na usunięcie drzew i krzewów kolidujących z planową inwestycją (ewentualne opłaty z tym związane ponosi nabywca); Dokonać drenażu i odwodnienia nieruchomości; Uporządkować teren oraz wykonać wjazd na działkę.
-
Tryb zbycia.
Przetarg ustny nieograniczony na sprzedaż nieruchomości.
W przypadku zainteresowania nabyciem przedmiotowej nieruchomości szczegółowych informacji udziela Wydział Geodezji i Gospodarki Nieruchomościami Urzędu Miasta w Mysłowicach przy ul. Powstańców 1 tel. 32 31 71 236. Szczegółowych informacji o możliwości zabudowy działki można uzyskać w Wydziale Architektury, Budownictwa i Planowania Urzędu Miasta w Mysłowicach, tel. 32 31 71 324 (w godz. pracy urzędu).







