Archiwum ofert nieruchomości
Informacja o terenie niezabudowanym przygotowanym do zbycia, na cele zgodne z zapisami Studium Uwarunkowań i Kierunków Zagospodarowania Przestrzennego Miasta Mysłowice.
1. Położenie
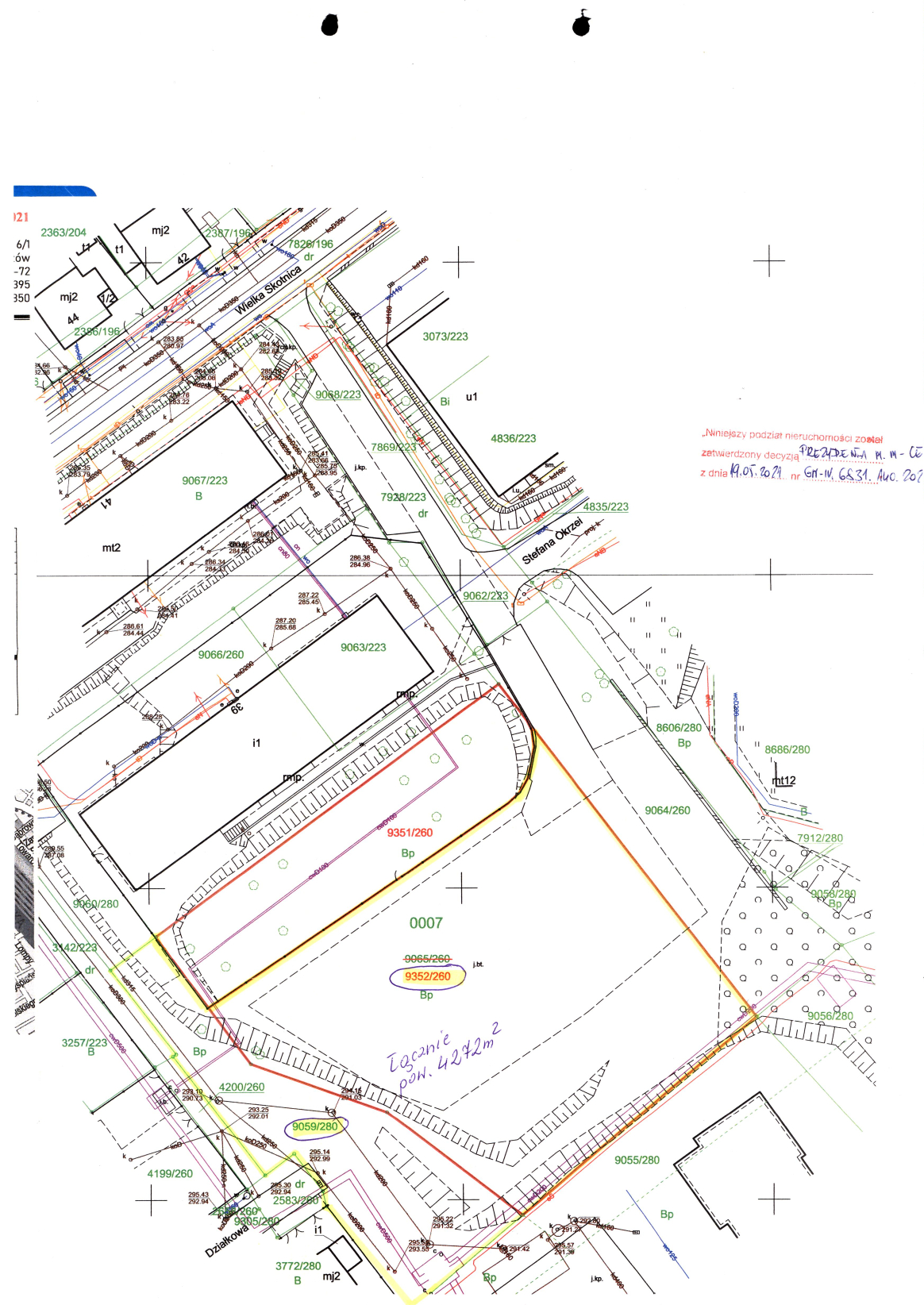
Nieruchomość niezabudowana, położona w Mysłowicach w rejonie ul. Wielkiej Skotnicy i ul. Działkowej.
Adres: 41 - 400 Mysłowice, ul. Wielka Skotnica
W skład nieruchomości wchodzą działki o łącznej pow. 4272 m2 położone na karcie mapy 3 obrębu 0007 Mysłowice, oznaczone numerami: nr 9352/260 o pow. 3217 m2, księga wieczysta nr KA1L/00023042/6 i nr 9059/280 o pow. 1055 m2, księga wieczysta nr KA1L/00005716/0 Sądu Rejonowego w Mysłowicach, przeznaczone do zbycia na cele zgodne z zapisami obowiązującego niżej wym. Studium Uwarunkowań i Kierunków Zagospodarowania Przestrzennego Miasta Mysłowice.
2. Charakterystyka działki
Właścicielem nieruchomości jest Gmina Mysłowice.
Łączna powierzchnia nieruchomości wynosi 4272 m 2.
Przeznaczenie w miejscowym planie zagospodarowania przestrzennego:
Brak miejscowego planu zagospodarowania przestrzennego. W obowiązującym Studium Uwarunkowań i Kierunków Zagospodarowania Przestrzennego Miasta Mysłowice, uchwalonym przez Radę Miasta Mysłowice uchwałą Nr XXX/656/08 z dnia 30 października 2008 r., w/w działki położone są w obszarze oznaczonym symbolem D.4.MW – tereny zabudowy wielorodzinnej. Z uwagi na bezpośrednie sąsiedztwo budynków o funkcji mieszkaniowej, preferowane jest zagospodarowanie nin. terenu zgodnie z pierwotnym przeznaczeniem w wyżej wym. Studium tj. zabudowa wielorodzinna, jak również usługowo – handlowa, stanowiąca uzupełnienie wiodącej na tym terenie funkcji mieszkaniowej. Dla zabudowy wielorodzinnej wskazane jest również uwzględnienie terenów zielonych i miejsc rekreacji (skwer, plac zabaw). Zagospodarowanie nieruchomości nastąpi na podstawie szczegółowych warunków, które zostaną określone w decyzji o warunkach zabudowy, wydanej na wniosek nabywcy.
Dojazd komunikacją indywidualną: ul. Wielką Skotnicą lub Działkową.
Dojazd komunikacją zbiorową: autobusami linii KZK GOP Nr 44, 292.
Uzbrojenie - rejon nieruchomości uzbrojony jest w sieci: c.o. wodociągową, gazową, energetyczną, teletechniczną i kanalizacyjną.
3. Sposób zagospodarowania
Charakterystyka: Działki niezabudowane, położone w Mysłowicach w rejonie ul. Wielkiej Skotnicy i ul. Działkowej, przeznaczone do sprzedaży łącznie jako jedna zorganizowana całość gospodarcza o łącznej pow. 4272 m2, z przeznaczeniem na cele zgodne z zapisami wyżej wym. Studium. Zbywana nieruchomość posiada kształt wielokąta. Teren nieruchomości jest częściowo pokryty asfaltem, a w pozostałej części porośnięty zielenią nieurządzoną. Na części nieruchomości znajdują się skarpy oraz gruz budowlany, a przy granicy nieruchomości występują kolidujące sieci uzbrojenia technicznego (kanalizacja ogólnospławna i deszczowa, studzienki kanalizacyjne, sieci ciepłownicze c.o. o wysokich parametrach, komora ciepłownicza), które nie mają negatywnego wpływu na możliwości zagospodarowania nieruchomości. Nin. grunt może być wykorzystany pod zabudowę z zastrzeżeniem, że projektowane obiekty budowlane nie mogą naruszać istniejącego uzbrojenia podziemnego terenu i przy ich lokalizacji zostaną zachowane odpowiednie odległości od sieci i urządzeń uzbrojenia terenu. Nabywca zobowiązany będzie zapewnić właścicielom sieci dostęp do sieci i urządzeń, celem przeprowadzenia konserwacji lub usunięcia awarii. W przypadku gdyby jednak projektowana zabudowa kolidowała z przebiegającymi sieciami, nabywca dokona ich przełożenia na własny koszt, po uzgodnieniu z gestorami sieci. Obsługa komunikacyjna zbywanej nieruchomości będzie się odbywać z drogi publicznej ul. Wielka Skotnica po działkach gminnych nr: 9068/223, 7928/223 i 9064/260, stanowiących wewnętrzną drogę dojazdową. Ponadto nieruchomość posiada bezpośredni dostęp do drogi publicznej ulicy Działkowej. Lokalizację zjazdu nabywca uzgodni z zarządcą drogi w odrębnym postępowaniu. Nabywca zobowiązany będzie we własnym zakresie i na własny koszt w razie potrzeby: Wykonać badanie geotechniczne gruntu; Dokonać wycinki zieleni, po wcześniejszym uzyskaniu decyzji zezwalającej na usunięcie drzew i krzewów kolidujących z planową inwestycją (ewentualne opłaty z tym związane ponosi nabywca); Dokonać drenażu i odwodnienia nieruchomości; Uporządkować teren; Uzyskać uzgodnienia branżowe przebiegu sieci i urządzeń uzbrojenia terenu; Zrealizować niezbędne dla zamierzonej inwestycji uzbrojenie techniczne i uzyskać we własnym zakresie zapewnienia dostawy mediów oraz odbioru ścieków i wód opadowych.
4. Tryb zbycia.
Przetarg ustny nieograniczony na sprzedaż nieruchomości.
W przypadku zainteresowania nabyciem przedmiotowej nieruchomości szczegółowych informacji udziela Wydział Geodezji i Gospodarki Nieruchomościami Urzędu Miasta w Mysłowicach przy ul. Powstańców 1 tel. 32 31 71 236. Szczegółowych informacji o możliwości zagospodarowania i zabudowy nieruchomości można uzyskać w Wydziale Architektury, Planowania i Strategii Urzędu Miasta w Mysłowicach, tel. 32 31 71 320 (w godz. pracy urzędu).
Mapa zasadnicza
(1650.84 KB)







