2023
Prezydent Miasta Mysłowice
ogłasza ustny przetarg nieograniczony
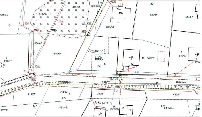
na sprzedaż nieruchomości niezabudowanej, stanowiącej własność Gminy Mysłowice, położonej w Mysłowicach przy ul. Dąbrówki, obejmującej działkę o numerze ewidencyjnym 649/67 o pow. 766 m2 zapisaną w księdze wieczystej nr KA1L/00025268/0 Sądu Rejonowego w Mysłowicach z przeznaczeniem pod zabudowę mieszkaniową jednorodzinną. Ww. działka położona jest na karcie mapy 2 obrębu 0005 Krasowy. Teren nie posiada pokrycia planem miejscowym, a Studium uwarunkowań i kierunków zagospodarowania przestrzennego miasta Mysłowice, zatwierdzonym uchwałą Rady Miasta Mysłowice z dnia 21 grudnia 2021 r. Nr L/761/21, wyznacza dla niego strefę o symbolu MNU – obszary zabudowy mieszkaniowej jednorodzinnej z usługami. Zbywana działka może być wykorzystana na cele zgodne z zapisami ww. studium. Zagospodarowanie nieruchomości nastąpi na podstawie szczegółowych warunków, które zostaną określone w decyzji o warunkach zabudowy, wydanej na wniosek nabywcy. Zbywana działka położona jest w granicach terenu górniczego „Wesoła II”. W związku z czym przy ustaleniu warunków zabudowy, konieczne będzie uzyskanie stanowiska właściwego państwowego organu nadzoru górniczego. Nin. nieruchomość nie jest obciążona prawami osób trzecich i nie jest przedmiotem zobowiązań. Działy III i IV księgi wieczystej prowadzonej dla tej nieruchomości nie zawierają wpisów.
Cena wywoławcza nieruchomości wynosi 37.000,-zł
(słownie: trzydzieści siedem tysięcy złotych).
Przetarg jest ważny bez względu na liczbę jego uczestników, jeżeli przynajmniej jeden uczestnik przetargu zaoferuje co najmniej jedno postąpienie powyżej ceny wywoławczej nieruchomości. O wysokości postąpienia decydują uczestnicy przetargu z tym, że postąpienie w przetargu nie może wynosić mniej niż 1% ceny wywoławczej nieruchomości, z zaokrągleniem w górę do pełnych dziesiątek złotych. Cena osiągnięta w przetargu za nieruchomość podlega zapłacie w całości, nie później niż do dnia zawarcia umowy przenoszącej własność nieruchomości, gdzie za potwierdzenie wpłaty przyjmuje się datę uznania rachunku bankowego Urzędu Miasta Mysłowice, wskazanego w zawiadomieniu o miejscu i terminie zawarcia umowy sprzedaży. Do wylicytowanej ceny sprzedaży, zostanie doliczony podatek VAT według stawki obowiązującej na dzień sprzedaży (na dzień ogłaszania przetargu podatek VAT wynosi 23%). Osoba, która wygra przetarg, zobowiązana będzie do zapłaty wylicytowanej ceny sprzedaży nieruchomości wraz z należnym podatkiem VAT w całości, nie później niż do dnia zawarcia notarialnej umowy sprzedaży nieruchomości, na konto Urzędu Miasta Mysłowice, wskazane w zawiadomieniu o miejscu i terminie zawarcia umowy sprzedaży. Za potwierdzenie wpłaty przyjmuje się datę uznania wskazanego rachunku bankowego Urzędu Miasta Mysłowice.
Przetarg odbędzie się w dniu 17 października 2023 r. o godz. 11.00 w sali nr 204
Urzędu Miasta w Mysłowicach przy ul. Powstańców 1.
W przetargu mogą brać udział osoby, które najpóźniej do dnia 11 października 2023 r. wniosą wadium w pieniądzu w wysokości 7.400,-zł (słownie: siedem tysięcy czterysta złotych), wpłacając je na konto depozytowe Urzędu Miasta Mysłowice Nr 13 1050 1214 1000 0023 5654 6974 ING Bank Śląski, z podaniem w/w nr działek. Za datę wniesienia wadium uważa się datę wpływu środków pieniężnych na powyższy rachunek bankowy. Wadium wpłacone przez uczestnika przetargu, który przetarg wygra zostanie zaliczone na poczet ceny nabycia nieruchomości, w dniu zapłaty reszty ceny sprzedaży. Pozostałym uczestnikom przetargu wadium jest zwracane w terminie 3 dni od dnia zamknięcia przetargu (bez oprocentowania), na konto przez nich wskazane. Organizator przetargu jest obowiązany zawiadomić osobę ustaloną jako nabywca nieruchomości o miejscu i terminie zawarcia umowy sprzedaży, najpóźniej w ciągu 21 dni od dnia rozstrzygnięcia przetargu. Wyznaczony termin nie może być krótszy niż 7 dni od dnia doręczenia zawiadomienia. Jeżeli osoba ustalona jako nabywca nieruchomości nie przystąpi bez usprawiedliwienia do zawarcia umowy w miejscu i w terminie podanych w zawiadomieniu, organizator przetargu może odstąpić od zawarcia umowy, a wpłacone wadium nie podlega zwrotowi.
Przed otwarciem przetargu jego uczestnik winien przedłożyć Komisji Przetargowej:
-
Dowód wniesienia wadium (oryginał).
-
Dokument tożsamości.
-
Aktualny wypis lub zaświadczenie z właściwego rejestru wystawione nie wcześniej niż 6 miesięcy przed upływem terminu przetargu w przypadku, gdy nieruchomość będzie nabywana przez uczestnika przetargu w ramach prowadzonej działalności gospodarczej, a w przypadku wspólników spółek cywilnych także umowę spółki cywilnej.
-
Oryginał pełnomocnictwa potwierdzonego notarialnie, upoważniającego do działania na każdym etapie postępowania przetargowego, w przypadku osoby reprezentującej uczestnika przetargu.
-
Pisemną zgodę współmałżonka na odpłatne nabycie nieruchomości, w przypadku uczestnika przetargu zamierzającego samodzielnie licytować nieruchomość nabywaną do majątku wspólnego.
-
Oświadczenie, że oferent zapoznał się z dokumentacją zbywanej nieruchomości, jej stanem faktycznym i prawnym oraz z warunkami przetargu i przyjmuje je bez zastrzeżeń.
-
Oświadczenie, że oferent wyraża zgodę na przetwarzanie swoich danych osobowych, w tym również ich udostępnienie do publicznej wiadomości w zakresie zbycia przedmiotowej nieruchomości w drodze przetargu.
-
Numer i nazwę rachunku bankowego, na które zostanie zwrócone wadium, w przypadku nie wygrania przetargu.
Nabycie nieruchomości przez cudzoziemców może nastąpić w przypadku uzyskania zezwolenia ministra właściwego do spraw wewnętrznych, jeżeli wymagają tego przepisy ustawy z dnia 24 marca 1920 r. o nabywaniu nieruchomości przez cudzoziemców. Nabywca zobowiązany jest do ustalenia we własnym zakresie, czy nabycie nieruchomości będącej przedmiotem przetargu wymaga uzyskania zezwolenia.
Dodatkowe informacje dot. zbywanej nieruchomości oraz warunki realizacji zamierzeń inwestycyjnych:
1. Nieruchomość niezabudowana, położona w Mysłowicach przy ulicy Dąbrówki w dzielnicy Krasowy przeznaczona do sprzedaży o pow. 766 m2, z przeznaczeniem na cele zgodne z zapisami ww. Studium uwarunkowań i kierunków zagospodarowania przestrzennego miasta Mysłowice. W sąsiedztwie występuje zabudowa mieszkaniowa jednorodzinna. Przedmiotowa działka nr 649/67 posiada nieregularny kształt, zbliżony do trapezu, jest podmokła a ukształtowanie terenu (obniżenie terenu) przyczynia się do gromadzenia wód opadowych i roztopowych. Rosnąca na działce roślinność (wysoka trawa, sitowie, tatarak) wskazuje na to, iż przez cały czas na tym terenie gromadzą się wody opadowe i grunt jest zabagniony. Przez przedmiotową nieruchomość nie przebiegają zewidencjonowane rowy melioracyjne. Z racji braku w pobliżu odbiornika wód, zagospodarowanie wód opadowych winno odbywać się na nieruchomości przyszłego nabywcy. Przez działkę wzdłuż jej zachodniej granicy przebiegają sieci: wodociągowa, kanalizacji sanitarnej oraz gazowa a także wzdłuż południowej jej granicy przebiega sieć wodociągowa. Przy nieruchomości gminnej usytuowany jest słup elektroenergetyczny. Obsługa komunikacyjna przedmiotowej nieruchomości odbywa się bezpośrednio z drogi publicznej ulicy Dąbrówki - lokalizację zjazdu nabywca uzgodni z zarządcą drogi w odrębnym postępowaniu. Zbywana nieruchomość znajduje się w granicach terenu górniczego „Wesoła II”, w związku z czym przy ustaleniu warunków zabudowy, konieczne będzie uzyskanie stanowiska właściwego państwowego organu nadzoru górniczego.
2. Nabywca zobowiązany będzie we własnym zakresie i na własny koszt w razie potrzeby: wykonać badanie geotechniczne gruntu; dokonać wycinki zieleni, po wcześniejszym uzyskaniu decyzji zezwalającej na usunięcie drzew i krzewów kolidujących z planowaną inwestycją (ewentualne opłaty z tym związane ponosi nabywca); dokonać drenażu i odwodnienia nieruchomości; uporządkować teren; uzyskać uzgodnienia branżowe przebiegu sieci i urządzeń uzbrojenia terenu; zrealizować niezbędne dla zamierzonej inwestycji uzbrojenie techniczne i uzyskać we własnym zakresie zapewnienia dostawy mediów oraz odbioru ścieków i wód opadowych. W związku z powyższym przyszły nabywca gruntu gminnego przed przystąpieniem do przetargu winien dokonać wizji w terenie.
3. Nabywca zobowiązany będzie zapewnić właścicielom sieci dostęp do sieci, celem przeprowadzenia konserwacji lub usunięcia awarii. W przypadku wystąpienia w obrębie nabytej nieruchomości sieci nie ujawnionych na istniejących mapach i dokumentach, a kolidujących z inwestycją, jak też wystąpienia zmian w przepisach w tym dotyczących zagospodarowania przestrzennego, Miasto Mysłowice nie będzie ponosiło z tego tytułu żadnej odpowiedzialności.
4. Nabywca zobowiązany również będzie do poniesienia w całości kosztów notarialnych oraz kosztów i opłat sądowych związanych z nabyciem nieruchomości.
Treść nin. ogłoszenia dostępna jest na stronie internetowej w Biuletynie Informacji Publicznej www.bip.myslowice.pl/nieruchomości/ogłoszenia o przetargach na sprzedaż lub dzierżawę nieruchomości lub www.bip.myslowice.pl/przetargi na nieruchomości oraz www.myslowice.pl/nieruchomości na sprzedaż/ ogłoszenia o przetargach na sprzedaż lub dzierżawę nieruchomości a także na tablicy ogłoszeń w siedzibie Urzędu Miasta Mysłowice przy ul. Powstańców 1 (na II piętrze) obok pok. 302. Szczegółowych informacji nt. przetargu można uzyskać w Wydziale Gospodarki Nieruchomościami tel. 32 31 71 236 (pok. 311), w którym znajduje się dokumentacja zbywanej nieruchomości. Szczegółowych informacji o możliwości zabudowy i zagospodarowania działki można uzyskać w Wydziale Architektury, Planowania i Strategii Urzędu Miasta w Mysłowicach tel. 32 31 71 320 (w godz. pracy urzędu).







