Archiwum ofert nieruchomości
Informacja o terenie niezabudowanym, przygotowanym do zbycia pod zabudowę mieszkaniową jednorodzinną.
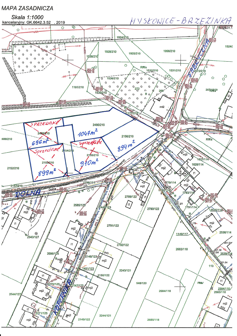
1. Położenie
Nieruchomości niezabudowane, położone w Mysłowicach – Brzezince przy ul. Dolnej.
Adres: 41 - 404 Mysłowice, ul. Dolna.
W skład nieruchomości wchodzą działki na karcie mapy 4 obrębu Brzezinka, zapisane w księdze wieczystej nr KA1L/00024523/9 Sądu Rejonowego w Mysłowicach, przeznaczone pod zabudowę mieszkaniową jednorodzinną, oznaczone numerami:
- 2490/210 o pow. 1047 m2
- 2156/210 o pow. 894 m2
Działka nr 2490/210 będzie zbywana wraz z udziałem 1/4 części w działce nr 2154/210 o pow. 446 m2 przeznaczonej pod wewnętrzną drogę dojazdową.
2. Charakterystyka nieruchomości
- Właścicielem nieruchomości jest Gmina Mysłowice.
- Łączna powierzchnia nieruchomości wynosi 1941 m2.
Przeznaczenie w miejscowym planie zagospodarowania przestrzennego miasta:
Zgodnie z uchwalonym przez Radę Miasta Mysłowice uchwałą nr L/778/18 z dnia 26 kwietnia 2018 roku, miejscowym planem zagospodarowania przestrzennego „Brzezinka Zachodnia” w Mysłowicach, w/w działki położone są w strefie ozn. symbolem 7MN – tereny zabudowy mieszkaniowej jednorodzinnej. Zbywane działki znajdują się na obszarze terenu górniczego, w związku z czym wznoszenie trwałych budowli i urządzeń, wymaga uzgodnienia z właściwym organem państwowego nadzoru górniczego. Zagospodarowanie nin. nieruchomości nastąpi na podstawie ustaleń w/w planu miejscowego.
Dojazd komunikacją indywidualną - dojazd ulicami: Fabryczną, Dolną.
Dojazd komunikacją zbiorową: autobusami linii KZK GOP Nr 106, Nr 162.
Uzbrojenie - rejon nieruchomości uzbrojony jest w sieci: wodociągową, gazową, energetyczną, teletechniczną i kanalizacji sanitarnej.
3. Sposób zagospodarowania
Charakterystyka: Działki niezabudowane, położone w Mysłowicach – Brzezince przy ul. Dolnej, przeznaczone do sprzedaży na cele zabudowy mieszkaniowej jednorodzinnej, zgodnie z zapisami wyżej wym. miejscowego planu zagospodarowania przestrzennego. Działka nr 2490/210 położona jest w drugiej linii zabudowy ul. Dolnej, natomiast działka nr 2156/210 położona jest bezpośrednio przy tej ulicy. Teren zbywanych działek jest zróżnicowany i opada w kierunku północno wschodnim. Część terenu porośnięta jest drzewami oraz samosiejkami drzew i krzewów. Południowo wschodni narożnik działki nr 2156/210 przecina sieć kanalizacji sanitarnej ks200, która następnie przebiega wzdłuż wschodniej granicy działki (poza działką). Nin. nieruchomość może być wykorzystana pod zabudowę z zastrzeżeniem, że projektowany obiekt budowlany nie może naruszać istniejącego uzbrojenia podziemnego terenu i przy jego lokalizacji zostaną zachowane odpowiednie odległości od sieci. Nabywca zobowiązany będzie zapewnić właścicielowi sieci dostęp do sieci, celem przeprowadzenia konserwacji lub usunięcia awarii. Obsługa komunikacyjna zbywanej działki nr 2490/210, będzie się odbywać od ul. Dolnej, poprzez działkę nr 2154/210, przeznaczoną pod wewnętrzną drogę dojazdową tzw. sięgacz. Działka nr 2156/210 będzie posiadała bezpośredni zjazd z ul. Dolnej. Lokalizację zjazdu nabywcy uzgodnią z zarządcą drogi w odrębnym postępowaniu.
Nabywcy zobowiązani będą we własnym zakresie i na własny koszt w razie potrzeby: Wykonać badanie geotechniczne gruntu; Uporządkować teren, a w razie wystąpienia konieczności odwodnienia działek wykonać je na własny koszt; Dokonać wycinki zieleni, po wcześniejszym uzyskaniu decyzji zezwalającej na usunięcie drzew i krzewów kolidujących z planowaną inwestycją (ewentualne opłaty z tym związane ponoszą nabywcy); Uzyskać aktualne uzgodnienia branżowe przebiegu sieci i urządzeń uzbrojenia terenu; Zrealizować niezbędne dla zamierzonej inwestycji uzbrojenie techniczne i uzyskać we własnym zakresie zapewnienia dostawy mediów oraz odbioru ścieków i wód opadowych. Współwłaściciele działki nr 2154/210 przeznaczonej pod wewnętrzną drogę dojazdową, zobowiązani będą wspólnie wykonać na własny koszt i własnym staraniem drogę dojazdową do działek nabytych w przetargu oraz zarurować na szerokości wjazdu istniejący rów przydrożny (w uzgodnieniu z Zespołem Administracji Drogowej).
Tryb zbycia.
Przetarg ustny nieograniczony na sprzedaż poszczególnych działek (działka nr 2490/210 będzie zbywana z odpowiednim udziałem w gruncie przeznaczonym pod wewnętrzną drogę dojazdową).
W przypadku zainteresowania nabyciem przedmiotowych nieruchomości szczegółowych informacji udziela Wydział Geodezji i Gospodarki Nieruchomościami Urzędu Miasta w Mysłowicach przy ul. Powstańców 1 tel. 32 31 71 236. Szczegółowych informacji o możliwości zabudowy działek można uzyskać w Wydziale Architektury, Budownictwa i Planowania tel. 32 31 71 324, a informacje o lokalizacji zjazdu z drogi publicznej można uzyskać w Zespole Administracji Drogowej Wydziału Infrastruktury Miejskiej Urzędu Miasta w Mysłowicach przy ul. Strażackiej 7 tel. 32 222 13 11 (w godz. pracy urzędu).







